Eind 2013 drukte AZ Nikolaas de wens uit te verhuizen naar een nieuwbouwcampus aan de westrand van Sint-Niklaas. Op basis van een locatieonderzoek in overleg met de stad Sint-Niklaas werd geopteerd om het nieuwbouwziekenhuis in te planten langsheen de N41. VECTRIS stond in voor de opmaak van een geïntegreerde start- en projectnota. Concrete doelstellingen hierbij waren:
- om de nieuwe parkeervraag van de campus op te vangen op eigen terrein, zonder overlast te genereren in de omliggende woonwijken;
- om de campus vlot en veilig bereikbaar te maken vanuit verschillende richtingen en met verschillende modi;
- om sluipverkeer richting de campus langs ongewenste routes tegen te gaan.
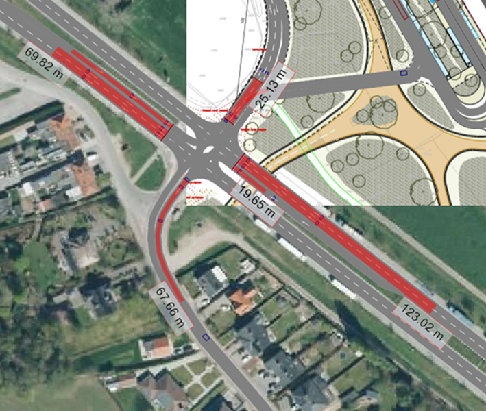
Zowel de lokale als bovenlokale planningscontext werd gescreend om relevante info in beeld te brengen. Daarnaast werd de bereikbaarheid verduidelijkt: de trage wegen, de fietsnetwerken, het aanbod aan openbaar vervoer en de wegencategorisering. Om zicht te krijgen op het huidige gebruik werden kruispunttellingen georganiseerd in ochtend- en avondspits. Met behulp van de software Anyways werden de verwachte stromen van de fiets en het gemotoriseerd verkeer in beeld gebracht.

Op basis van info van het ziekenhuis werd de verkeersgeneratie en parkeervraag in beeld gebracht van zowel werknemers als bezoekers. Zo kon worden berekend hoeveel extra verkeer er zou toekomen aan de kruispunten van N41 met Heimolenstraat en met N70. Door middel van een microsimulatie werd verder onderzocht welke aanpassingen nodig zouden zijn aan de kruispunten, en welke winst een fietstunnel onder N41 zou kunnen bieden op het vlak van verkeersveiligheid en doorstroming.





